Intown Downtown Infrastructure Updates
Fitchburg Announces Major Infrastructure and Construction Upgrades
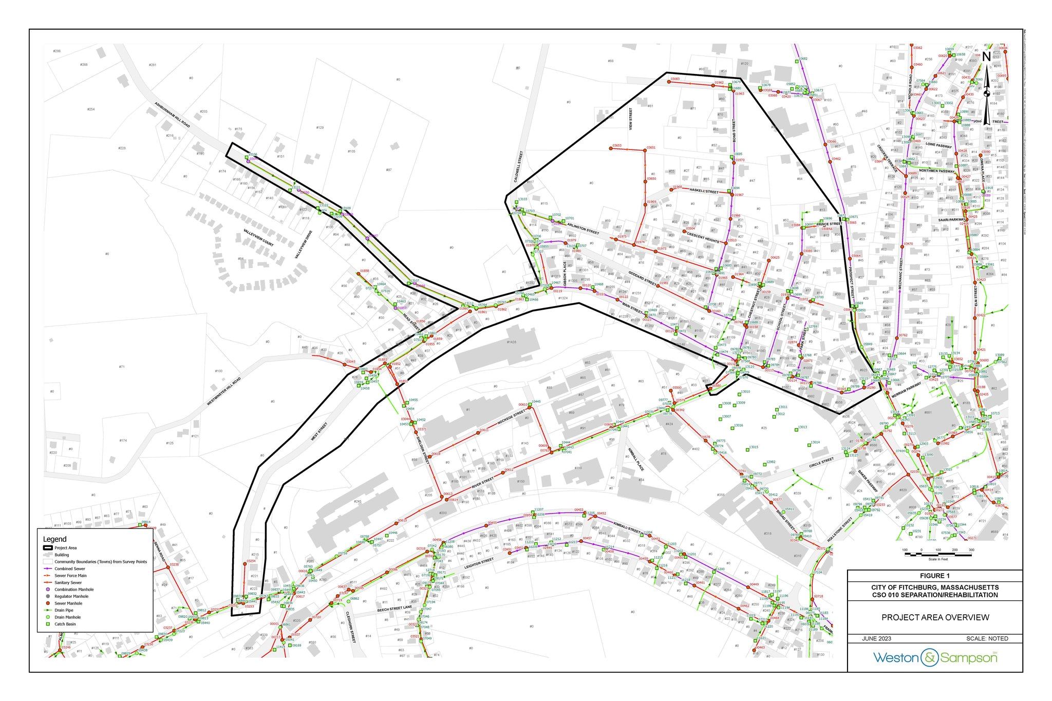
The City of Fitchburg is rolling out a series of major infrastructure improvements aimed at upgrading water, sewer, and roadway systems throughout the downtown area. These projects, led by city engineers and multiple agencies, will enhance public utilities, modernize aging infrastructure, and improve overall quality of life for residents and businesses.
Key Projects in Progress
- Water System Upgrades: Improvements in Main Street, Moran Square, and Water Street to enhance water quality, increase fire flow, and replace aging infrastructure.
- Sewer & Drain Projects: Compliance with EPA, MassDEP, and DOJ regulations to separate combined sewer systems and reduce flooding risks.
- Gas Line Upgrades: Minor service connection upgrades led by Unitil in the downtown area.
- Bridge Replacements: MassDOT is overseeing the replacement of Water Street Bridge and River Street Bridge, along with new rail trail installations.
- Sidewalk & Pavement Repairs: Main Street sidewalk restoration and repaving efforts will enhance pedestrian safety and improve downtown accessibility.
Project Goals & Benefits
✔️ Strengthen water infrastructure and improve maintenance capabilities
✔️ Reduce flooding risks and improve water quality
✔️ Modernize sewer systems and meet environmental regulations
✔️ Enhance roadways, sidewalks, and pedestrian access
Project Coordination & Updates
To keep residents informed, Fitchburg will provide weekly email updates detailing work locations, detours, and schedules. Additionally, residents and businesses can opt-in for project notifications through the city’s website
For questions or concerns, contact the Engineering Project Team at FitchburgMAWMIP@wseinc.com or call 781-909-4028
See the February 27th, 2025 Downtown Business Owners Presentation slideshow here:
VIDEO:Main Street Construction Info Session February 27th, 2025 filmed by FATV
Fitchburg announces major infrastructure upgrades throughout downtown
Current and upcoming projects highlighted in community info session
Stay Connected
For questions or concerns, contact the Engineering Project Team at FitchburgMAWMIP@wseinc.com or call 781-909-4028
- Sign up for the Community Development and Planning Newsletter to receive more updates on the project.
CSO 032, 045, 083 Separation/Rehabilitation Project - Starting April 25th through May 9th, 2025
Local traffic will be directed by the Fitchburg Police Department on site. Please note that parking near the construction zone will not be allowed.
GVC Construction, Inc. Excavation in the following areas:
- Elm Street – New Drainage Installation
- Academy Street – New Drainage Installation
CSO-10 - Week ending May 2nd & May 9th, 2025
Local traffic will be directed by the Fitchburg Police Department on site. Please note that parking near the construction zone will not be allowed.- Manhole Rehab Crew – Trenchless Manhole Rehabilitation: Various Locations
- Work Planned to begin Thursday, 5/1
Week Ending 5/9/25: Local traffic will be directed by the Fitchburg Police Department on site. Please note that parking near the construction zone will not be allowed.
- Manhole Rehab Crew – Trenchless Manhole Rehabilitation: Various Locations
- Pipe Grout Crew – Trenchless Pipe Pressure Testing & Grouting: Various Locations
- Work Planned to begin Thursday, 5/8
Main Street Infrastructure Update – Week of April 14, 2025 🚧
Construction continues on our major Main Street water main replacement project, aimed at upgrading aging infrastructure and improving water reliability downtown. This week, expect to see activity in the following areas:
🔹 Upper Common (both sides)
🔹 Main Street from Mechanic Street to Grove Street
🔹 Lunenburg Street (between Main & Boutelle Streets)
🔹 Myrtle Avenue (near the Main Street intersection)
Work includes temporary bypass water line installations, valve replacements, and water service transfers. Some service interruptions are expected, but Weston & Sampson and J.A. Polito will coordinate directly with property owners and tenants in advance.
🚗 Minor traffic detours and parking restrictions may be in effect, but a full Main Street closure is not anticipated at this time.
We appreciate your continued patience as we invest in Fitchburg’s future infrastructure
CSO-10 - APRIL 15TH & APRIL 16TH, 2025
National Water Main will be performing Nighttime Lining work on Main Street between the hours of 7pm and 5am next Tuesday, April 15th into Wednesday April 16th. Fitchburg Police and Public Works are aware and have authorized this work.
CSO-10 Week Ending 4/11/25:
Local traffic will be directed by the Fitchburg Police Department on site. Please note that parking near the construction zone will not be allowed.
National Water Main– Crew 1 – Trenchless Sewer CIPP Lining. Various Locations to include the following:
- Goddard Street
- Main Street
- Bond Street
- Haskell Street
- Park Street
CSO-10 Week Ending 4/4/25
Local traffic will be directed by the Fitchburg Police Department on site. Please note that parking near the construction zone will not be allowed.
- National Water Main– Crew 1 – Trenchless Sewer CIPP Lining. Various Locations to include the following:
- Arlington Street
- Caldwell Street
- Goddard Street
- Main Street
- Ashburnham Road
- School Street
- Chestnut Street